-
강아지 대퇴골두절단술카테고리 없음 2023. 8. 19. 13:44
안녕하세요.
비아츠
입니다.

오늘 소개해 드릴 이야기는 이름이 좀 무시무시한
"대퇴골두절단술"
입니다.
대퇴골두절단술
(FHNO)
이 수술은 허벅지에 있는 뼈의 일부, 골반과
연결되는 대퇴골의 머리 부분을 절단하는
수술입니다.
대퇴골두절단술이 적용되는 질환에는
주로 대형견에서 호발하는 고관절
이형성증(Hip displasia)과 소형견에서 발생
빈도가 높은 무혈성 괴사(avascular necrosis
of the femoral head)가 있습니다.
사례
생후 8개월 정도의 포메리안 여아가
방문하였습니다.
다리 문제가 아니라 유치가 제때 탈락되지 않아
부정교합 치료를 받기 위해 내원한 아이였습니다.
발치 시술 후 좌측 뒷다리를 불편해하는 증상
때문에 다시 검진을 하였고, 촉진을 통해 슬개골
탈구는 없는 것을 확인하였지만 다리 전체를 펴서
앞뒤로 움직일 때 통증 반응이 있는 것을 확인하고
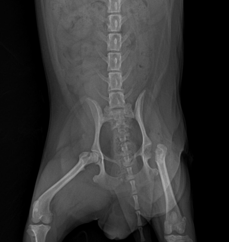
방사선 촬영을 진행하였습니다.

화살표 부분을 보면 뼈 안에 검은색으로 보이는
부분을 확인할 수 있습니다.
검은색으로 보이는 이유는 뼈가
부족하기 때문입니다.
방사선은 뼈를 투과하지 못하기 때문에 하얗게
보이지만 검은색으로 보이는 부분은 다른 부분보다
방사선이 많이 투과하여 어둡게 보이는 것입니다.
신체검사와 방사선 검사 결과를 토대로 고관절
통증에 의한 증상인 것으로 판단하였습니다.
진통제를 처방하였고, 진통제 복용 이후 증상이
많이 호전된 것을 확인할 수 있었습니다.
종합적인 진단 결과 대퇴골두에 혈액 공급이
원활하지 않아 대퇴골의 머리 부분이 괴사하는
"대퇴골두무혈성괴사"
라는 질환으로 진단이 되었습니다.
보호자님께 질환에 대해 설명을 드리고
근위축(소실)이 되기 전 조기에 수술을 진행해야
예후가 좋을 수 있다는 것을 말씀드렸습니다.
수술은 3주 후에 진행하였습니다.



수술 후 매끄럽고 균질해야 할 골두 표면이 움푹
패여 있는 것을 확인할 수 있습니다.
대퇴골두절단술을 진행하게 되면 수술을 진행한
쪽의 다리가 약간 짧아지게 됩니다.
한쪽만 수술을 진행하는 경우 다리 길이
차이에 의한 약간의 파행 증상이 있을 수 있으나
심한 통증은 90% 이상 줄어들게 됩니다.
수술 이후의 증상은 통증에 의한 파행이라기
보다는 길이 차이에 의한 증상이라고 볼 수 있습니다.
정리하자면, Legg-Perthes, Calve-Perthes, osteo
-chondritis juvenilis, avascular necrosis 등
여러 가지 다른 이름을 갖고 있는
대퇴골두무혈성 괴사증은 2년 령 이하의
소형견에서 다발하는 질환으로 편측 또는 양측성
파행 증상을 보입니다.
원인은 정확히 규명되지는 않았으나
골두(femoral head)로 공급되는 혈관의 압박,
유전성, 호르몬에 의한 것으로 보는 몇 가지
가설이 있습니다.
질병이 진행될수록 파행이 심해지고 근육 위축도
심하게 되며, 진통제는 일시적인 통증만 덜어줄 뿐
외과적 치료가 반드시 필요합니다.
대부분의 정형외과 질환에서도 마찬가지이지만,
다리를 사용하지 않아 근위축까지 진행할 경우
치료를 해도 예후가 좋지 않은 경우가 많습니다.
회복을 위해서는 근위축이 발생한 기간의
4배 이상의 재활치료가 필요합니다.
그렇기 때문에 해당 질병이 진단되었을 경우
빠른 시간 내에 외과적 치료를 진행하는 것이
좋습니다.
진단이 되면 미루지 않고 최대한 빠르게 수술을
해야 합니다.